0289741561 0546046748 0546046747 Riferimenti: Abilio S.p.A.
Descrizione:
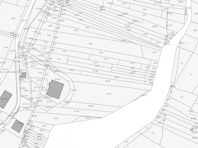
Quest'immobile viene venduto tramite asta online.terreno edificabile produttivo di 28.315 mq siti a villamagna (ch), in tra la statale 263 e la zona artigianale del comune.il terreno, di natura pianeggiante, presenta una destinazione urbanistica mista: 'd5 - piano per attività produttive' e 'e3 - zona agricola di tutela', con porzioni adibite a verde attrezzato, strade, invasi e aree edificabili. Le superfici sono state rilevate sulla base degli elaborati del piano delle attività produttive comunale. Il lotto è attraversato da condotte primarie del consorzio di bonifica e da una strada in massicciata già tracciata secondo il prg.per maggiori informazioni vedasi documentazione allegata.immobile descritto in perizia allegata come 'lotto 6c'quimmo.it: iniziativa tech del gruppo illimity specializzata nell'intermediazione digitale di beni immobili provenienti da tribunali, nuovi sviluppi immobiliari, financial institutions e libero mercato.da oltre 10 anni quimmo.it è il portale specializzato nella compravendita di immobili tramite asta giudiziaria. Il portale è infatti iscritto nel registro gestori della vendita telematica e nell'elenco dei siti web autorizzati allo svolgimento della pubblicità legale. Con quimmo puoi scegliere tra migliaia di immobili di ogni tipo e partecipare alle aste online per acquistare la soluzione più adatta alle tue esigenze.affidati all'esperienza decennale dei nostri esperti e richiedi l'assistenza gratuita per la presentazione e compilazione dell'offerta.contattaci subito.
| Codice inserzione: | 1770608811 |
| Rif. Annuncio: | 2536793 |
| Provincia: | Chieti |
| Comune: | Villamagna |
| Superficie (Mq) : | 28315 Mq. |
| Tipo immobile: | Terreni |
| Prezzo | € 104.542 |