Descrizione:
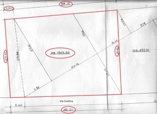
Proponiamo in vendita un terreno edificabile situato in una zona di prima periferia, ideale per chi cerca la tranquillità della campagna senza rinunciare alla comodità dei servizi cittadini e della zona fieristica. il lotto è pianeggiante, ben esposto al sole e già disposto di urbanizzazione completa di collegamenti acqua, luce gas e fognature disponibili a confine. L'indice di edificabilità, 0,9, permette la costruzione di una villetta singola o bifamiliare.non lasciarti sfuggire questa opportunità: un terreno pronto per edificare la tua nuova casa o per un investimento in un'area in via di sviluppo.l'agenzia rehome di pellegri vanessa si riserva di verificare alcune informazioni qui riportate in quanto tutto il materiale e la documentazione utilizzati sono state fornite da terze persone. Le immagini riportate potrebbero essere di repertorio o modificate per esplicita richiesta di privacy della proprietà.