055982550 Riferimenti: Giancarlo Riccucci
Descrizione:
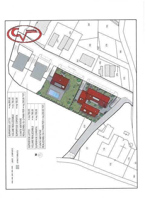
Vendiamo 2 lotti di terreno edificabile già urbanizzati, pronti per essere edificati, ubicati in bella zona panoramica e verde, ogni lotto ha una superficie territoriale di circa 800 mq su cui è possibile costruire una o due villette per un totale di 250 mq su due livelli oltre alle superfici accessorie, subito disponibile, adatto sia per privati che per imprese, giudizio ottimo
| Codice inserzione: | 1767758167 |
| Rif. Annuncio: | 2443 |
| Provincia: | Arezzo |
| Comune: | Bucine |
| Zona: | Mercatale |
| Superficie (Mq) : | 800 Mq. |
| Tipo immobile: | Terreni |
| Prezzo | € 160.000 |
| Classe energetica: | Immobile non soggetto all'obbligo di certificazione |