home page > Annunci immobiliari in Italia > Toscana > Livorno > Piombino > appartamenti in vendita > Scheda immobile

Appartamento in vendita a Piombino

COMPILA IL MODULO SOTTOSTANTE PER RICEVERE MAGGIORI INFORMAZIONI







Invia la richiesta ad altre agenzie
Accetto il trattamento dei miei dati



Desiderio immobiliare snc

Via indipendenza 212
57021 Campiglia Marittima (LI)

0565853845    3492209899    Riferimenti: belcastro enzo

Piombino
Prezzo: € 115.000
G
2
1
70
Ultimo piano



Descrizione:
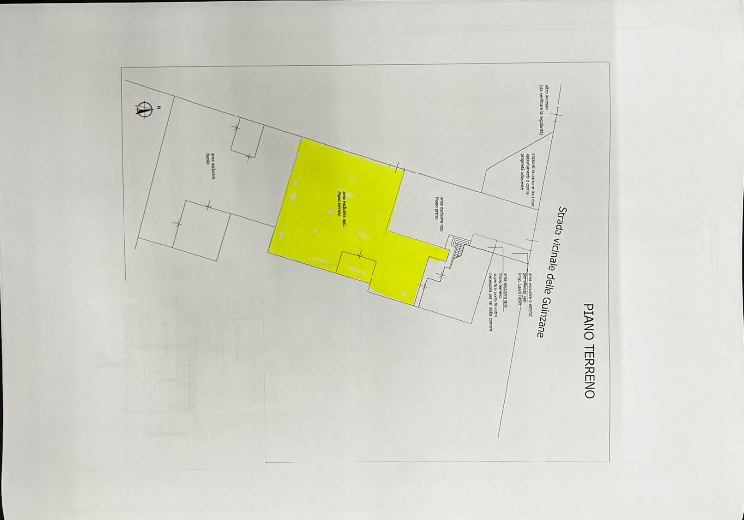
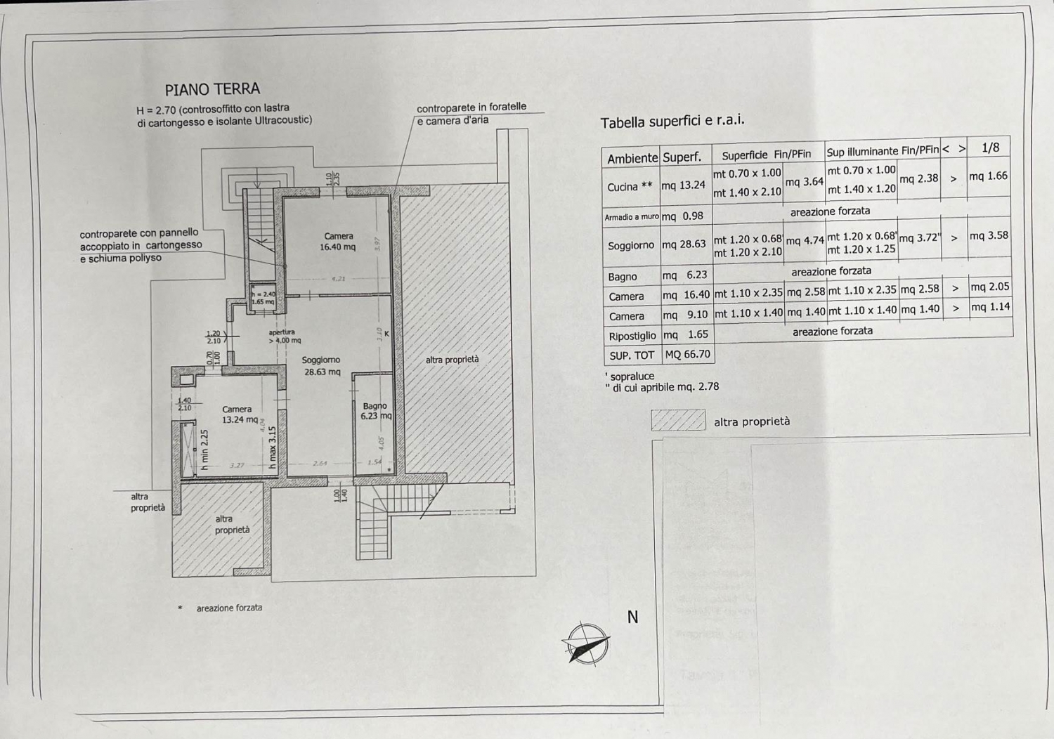
In vendita nella tranquilla zona della sdriscia, proponiamo un appartamento indipendente da ristrutturare, ideale per chi desidera personalizzare il proprio spazio abitativo. Situato al piano terra, l'immobile si compone di 4 vani ben distribuiti, offrendo un soggiorno doppio luminoso e accogliente, perfetto per momenti di convivialità. La cucina è un pratico angolo cottura, che consente di ottimizzare gli spazi. l'appartamento dispone di 2 camere da letto, ideali per una famiglia o per chi desidera avere uno studio. Il bagno è funzionale e può essere ristrutturato secondo le proprie esigenze. L'ingresso è indipendente, garantendo la massima privacy. questa soluzione rappresenta un'ottima opportunità per chi cerca un immobile da personalizzare in una delle zone più tranquille vicino al mare. Non perdere l'occasione di visitarlo! classe energetica: g




Caratteristiche immobile:
Codice inserzione: 1760671914
Rif. Annuncio: P56
Provincia: Livorno
Comune: Piombino
Zona: La Sdriscia  
Superficie (Mq) : 70 Mq.
Tipo immobile: Appartamento
Stato immobile: usato da riattare
Piano: Ultimo piano
Camere: 2
Garage: Singolo
Bagni: 1

Costi:
Prezzo € 115.000


Efficienza energetica:
Classe energetica: G
Riscaldamento: autonomo