home page > Annunci immobiliari in Italia > Lombardia > Como > Lomazzo > Terreni in vendita > Scheda immobile

Terreni in vendita a Lomazzo

COMPILA IL MODULO SOTTOSTANTE PER RICEVERE MAGGIORI INFORMAZIONI







Invia la richiesta ad altre agenzie
Accetto il trattamento dei miei dati



Divina servizi immobiliari

Via isonzo, 12
20813 Bovisio-Masciago (MB)

0362594966

Lomazzo
Prezzo: € 180.000
2050



Descrizione:
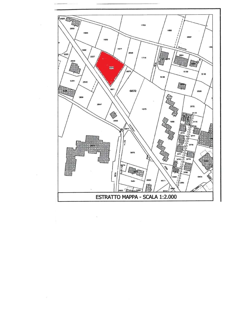
Rif: divina servizi immobiliari di seregno, piazza vittorio veneto a lomazzo (co) proponiamo in vendita terreno edificabile con superficie fondiaria di 2050 mq dove si può edificare per 2020 mc.l'area è inserita in un tranquillo contesto residenziale, presenta un'ottima esposizione e un accesso comodo dalla viabilità principale. La conformazione del lotto e la metratura disponibile consentono diverse possibilità progettuali, interessante sia per privati che per imprese. la presente scheda non costituisce forma di contratto, le informazioni qui contenute sono da ritenersi del tutto indicative e non potranno essere utilizzate come parte integrante di un eventuale contratto di vendita o locazione della proprietà. La presente non vincola in alcun modo la società.classe energetica:




Caratteristiche immobile:
Codice inserzione: 1763597484
Rif. Annuncio: V011084
Provincia: Como
Comune: Lomazzo
Superficie (Mq) : 2050 Mq.
Tipo immobile: Terreni

Costi:
Prezzo € 180.000


Efficienza energetica: