home page > Annunci immobiliari in Italia > Veneto > Verona > Bonavigo > Terreni in vendita > Scheda immobile

Terreni in vendita a Bonavigo

COMPILA IL MODULO SOTTOSTANTE PER RICEVERE MAGGIORI INFORMAZIONI







Invia la richiesta ad altre agenzie
Accetto il trattamento dei miei dati



Mediocasa immobiliare srl

Str. Porta palio 70/c
37121 Verona

0458012557

Bonavigo
Prezzo: € 11.250
654



Descrizione:
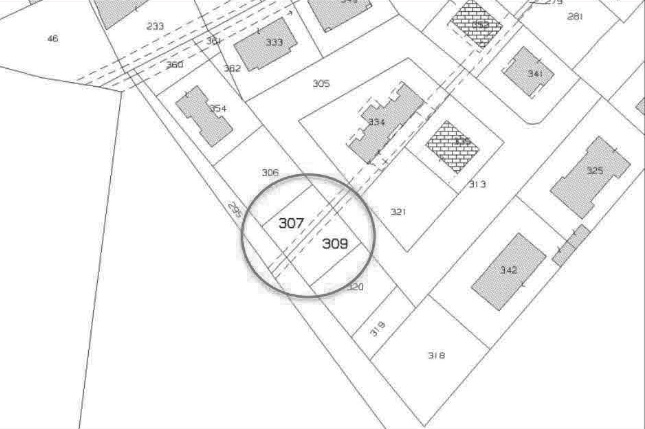
Bonavigo (vr) via ober hilbersheim - piena proprietà di di un'area edificabile (attualmente suolo prativo) dalla superficie complessiva di 654 mq. Di forma regolare quadrangolare ed inserita in zona urbanistica di tipo c2 destinata alla costruzione di villini uni o plurifamiliari.immobile soggetto a e.i. N.ro lotto unico - tribunale di veronaprezzo base d'asta € 15.000,00offerta minima di partecipazione € 11.250,00prossimo esperimento: per visite ed informazioni chiamare il o la nostra agenzia presente da anni sul mercato, ricerca le procedure esecutive e concorsuali fornendo una consulenza tecnico legale, bancaria completa per la partecipazione all'asta per l'acquisto dell'immobile, che comprende:•analisi della procedura esecutiva, valutazione del compendio immobiliare.•assistenza e partecipazione all'asta fino alla chiusura dell'operazione e all'assegnazione dell'immobile tramite, decreto di trasferimento o acquisto con rogito notarile.•ricerca migliore tipologia di finanziamento con gli istituiti di credito convenzionati con il tribunale di verona per l'acquisto dell'immobile in asta.da molti anni garantiamo un servizio sicuro e completo, volto al soddisfacimento della clientela più esigente che spazia dall'investitore al costruttore, dall'azienda multinazionale al privato.ci occupiamo con successo di:•consulenza finanziaria, con ricerca e valutazione di mutui bancari e/o leasing•gestione delle locazioni di patrimoni immobiliari•marketing e comunicazione immobiliarei nostri servizi:•multi-pubblicazione dell'offerta immobiliare sui migliori canali online per la massima visibilità e tempi di conclusione più rapidi•valutazioni immobiliari•certificazioni energetiche, oggi obbligatorie per la vendita e la locazione di tutti gli immobili•verifiche di regolarità urbanistiche e catastalio registrazioni telematiche contratti di locazione (registrazione, rinnovo, proroga, risoluzione) a 50,00 € + ivao registrazioni telematiche contratti di locazione con cedolare secca a 30,00 € + iva




Caratteristiche immobile:
Codice inserzione: 1776134671
Rif. Annuncio: GB08072026
Provincia: Verona
Comune: Bonavigo
Superficie (Mq) : 654 Mq.
Tipo immobile: Terreni

Costi:
Prezzo € 11.250


Efficienza energetica:
Classe energetica: Immobile non soggetto all'obbligo di certificazione