home page > Annunci immobiliari in Italia > Veneto > Vicenza > Schio > Negozi uffici capannoni in vendita > Scheda immobile

Negozi uffici capannoni in vendita a Schio

COMPILA IL MODULO SOTTOSTANTE PER RICEVERE MAGGIORI INFORMAZIONI







Invia la richiesta ad altre agenzie
Accetto il trattamento dei miei dati



Summit immobiliare

Via daniele manin 20
36015 Schio (VI)

0445531222    Riferimenti: Davide Perin

Schio
Prezzo: € 96.000
G
1
152
1



Descrizione:
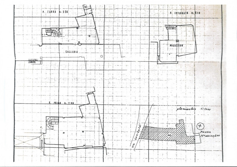
Schio - centro storico: ampio e raffinato negozio sviluppato su due piani. Cl. En. G ipe 175,00. Euro 96.000. Per info paola proponiamo in vendita raffinato negozio di circa 50,00 mq al piano terra ed ulteriori 90,00 mq. Al piano primo, con, al piano interrato, magazzino di circa 50,00 mq.il posto è strategico e di grande passaggio. Tutto il fronte del negozio è suddiviso in tre grandi vetrine.si tratta di una soluzione ideale per chi ha un'attività commerciale/direzionale che richieda anche la necessità di tenere dei corsi o degli incontri.possibilità di rilevare tutti o parte degli arredi fatti su misura.libero.




Caratteristiche immobile:
Codice inserzione: 1759113919
Rif. Annuncio: DS4022A
Provincia: Vicenza
Comune: Schio
Superficie (Mq) : 152 Mq.
Tipo immobile: Negozi uffici capannoni
Stato immobile: usato
Anno costruzione/ristrutturazione: 1994
Piano: 1
Bagni: 1
Terrazze: 1

Costi:
Prezzo € 96.000


Efficienza energetica:
Classe energetica: G
Riscaldamento: autonomo