home page > Annunci immobiliari in Italia > Veneto > Treviso > Carbonera > Terreni in vendita > Scheda immobile

Terreni in vendita a Carbonera

COMPILA IL MODULO SOTTOSTANTE PER RICEVERE MAGGIORI INFORMAZIONI







Invia la richiesta ad altre agenzie
Accetto il trattamento dei miei dati



Ag. Imm. Luxor di bizzotto denis

Viale manin 13
31040 Volpago del Montello (TV)

04221522739    0422.882650    3402540785    Riferimenti: Denis Bizzotto

Carbonera
Prezzo: € 100.000
1000



Descrizione:
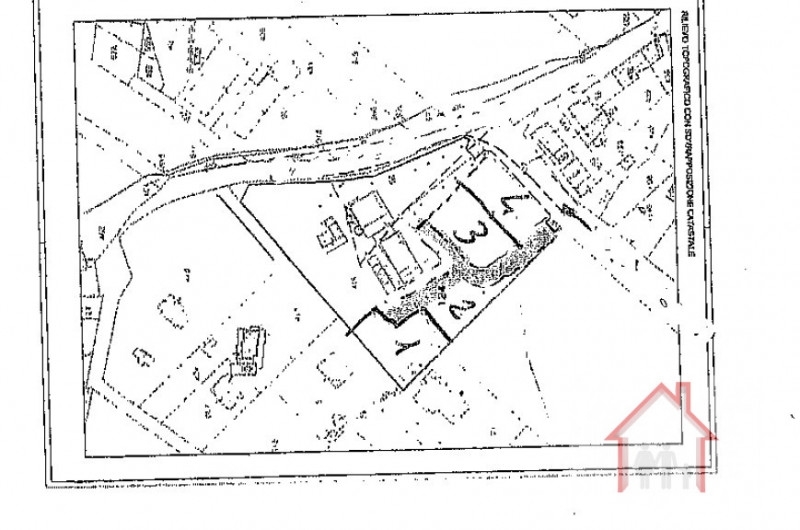
Rif.: pte 010 - per informazioni paolo scopri questa straordinaria opportunità di investimento nel cuore di carbonera, nella frazione di vascon. L'agenzia immobiliare luxor è lieta di presentare un terreno edificabile con una superficie compresa tra i 1000 e i 1500 mq, perfetto per realizzare la casa dei tuoi sogni.questo terreno offre un'opportunità unica grazie alla sua edificabilità che permette la costruzione di circa 200/250 mq. Con l'intervento diretto già approvato e gli oneri pagati, potrai iniziare il tuo progetto senza preoccupazioni burocratiche. Il lotto consente la costruzione di una villa singola interamente su un piano o in alternativa fino a due piani fuori terra, offrendo versatilità e libertà progettuale adatta alle tue esigenze.situato in una zona ben servita da tutti i principali servizi come scuole, negozi e mezzi pubblici, questo terreno ti regala anche unobiettivo panorama sul parco circostante,invitando cosù a esperienze all'aperto e momenti di relax immersi nella natura.non perdere questa imperdibile occasione! contattaci subito per ulteriori dettagli ed informazioni riguardo al tuo futuro progetto abitativo. Siamo qui per assisterti passo dopo passo!per maggiori informazioni contatta paolo al numero: .classe energetica: non soggetta. la tutela della privacy dei clienti intendiamo precisare che gli indirizzi presenti negli annunci non sono identificativi dell'ubicazione dell'immobile ma danno un riferimento solo generico della zona in cui si trova.




Caratteristiche immobile:
Codice inserzione: 1772509530
Rif. Annuncio: PTE010
Provincia: Treviso
Comune: Carbonera
Zona: Vascon  
Superficie (Mq) : 1000 Mq.
Tipo immobile: Terreni
Anno costruzione/ristrutturazione: 2025

Costi:
Prezzo € 100.000


Efficienza energetica:
Classe energetica: Immobile non soggetto all'obbligo di certificazione